岩矿实物资料库

新疆岩矿实物地质资料库拥有数千张高分辨率的岩矿实物地质资料显微图片,涵盖新疆数十个矿产分类,及上百处矿点,你可以按矿产分类、鉴定批次及关键词来搜索查看。

黄铁矿-白铁矿集合体

201211043-AXA55 令箭状构造 200(-)

白铁矿

201211043-AXA54 叶片状结构 100(-)

黄铁矿-白铁矿集合体

201211043-AXA53 细叶片状构造 50(-)

黄铁矿-白铁矿聚粒

201211043-AXA52 半自形微粒状结构 100(+)

自形黄铁矿

201211043-AXA51 黄铁矿环带结构 二次电子像 350×

自形粒状黄铁矿

201211043-AXA50 星点浸染状构造 200(-)

他形粒状黄铁矿

201211043-AXA49 细脉-浸染状构造 50(-)

黄铁矿-白铁矿集合体

201211043-AXA48 稀疏浸染状构造 100(-)

粒间金

201211043-AXA47 粒间金 500(-)

包裹金

201211043-AXA46 包裹金 200(-)

粒间金

201211043-AXA45 粒间金 500(-)

粒间金-包裹金

201211043-AXA44 粒间金-包裹金 500(-)

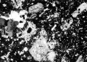
冰长石化绢英岩化英安岩

201211043-AXA43 冰长石化绢英岩化英安岩 28(+)

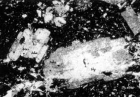
冰长石化绢英岩化英安岩

201211043-AXA42 冰长石化绢英岩化英安岩 28(+)

绿泥石化

201211043-AXA41 绿泥石化 100(+)

绿泥石化

201211043-AXA40 绿泥石化 50(+)

矿化-碳酸盐化

201211043-AXA39 矿化-碳酸盐化 100(+)

白云石化

201211043-AXA38 白云石化 50(+)

碳酸盐化

201211043-AXA37 碳酸盐化 50(+)

菱铁矿化

201211043-AXA36 菱铁矿化 50(-)

碳酸盐化

201211043-AXA35 碳酸盐化 50(+)

黄铁绢英岩

201211043-AXA33 黄铁绢英岩 50(+)

硅化

201211043-AXA32 硅化 50(+)

硅化

201211043-AXA31 硅化 50(+)

共 9640 条数据,当前第 362 页,每页显示 24 条记录,共 402 页